По предварительным данным, в 9:00 на 712-м км трассы М-5, в селе Нижняя Елюзань, столкнулись Audi A6 и «Лада-Гранта». За рулем иномарки находился 51-летний водитель, отечественной машиной управлял 39-летний мужчина.Водителя «Гранты» и двух его...
СМИ
Цветная капуста зарекомендовала себя как универсальный овощ, обладающий множеством текстур и вкусовых оттенков. Сочетающая в себе сливочный вкус и сладость, это чудо овощ помогает создавать разнообразные блюда, которые могут порадовать как...
В мире обсуждений о быте особенно много интересных и порой неожиданно простых вопросов. Например, зачем мыть руки, когда это не кажется обязательным? Или как выбрать трубы для сантехники, чтобы они окупались долгосрочной службой? Эти...
Кочедыжники, знаковые представители удивительного мира папоротников, стали настоящими фаворитами садоводов. Эти растения, способные мгновенно преобразить унылые темные уголки, помогут создать настоящую зеленую идиллию. Согласно древним легендам...
«Снегоуборочной техники на тротуарах не видели уже несколько недель, песком или солью ни разу с начала зимы не посыпали. Единственная протоптанная людьми тропинка после вчерашнего дождя - чистый лед», - пожаловалась горожанка.Подписывайтесь на...
Певец Эдуард Шарлот объявил о своем намерении обжаловать приговор, вынесенный ему Самарским областным судом, касающийся реабилитации нацизма и оскорбления религиозных чувств. Как следует из официальных материалов суда, жалоба Шарлота уже принята и...
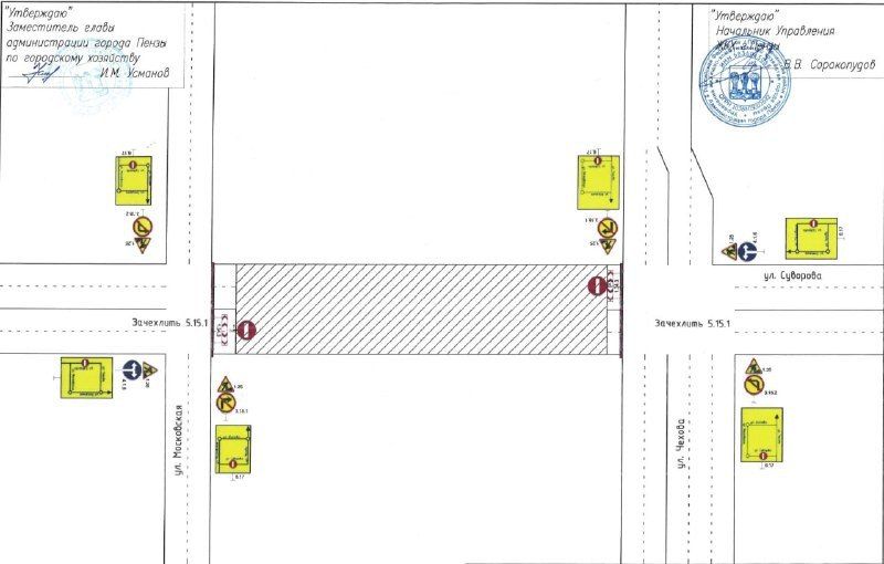
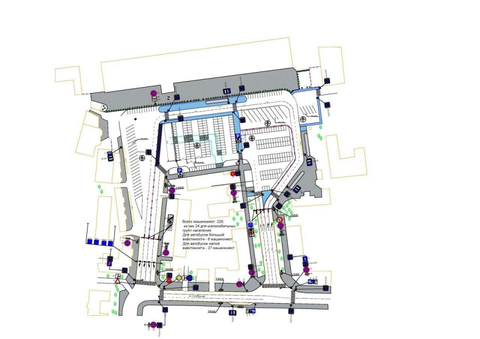
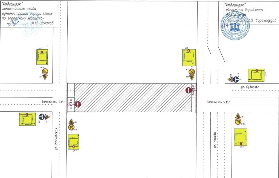
Проект постановления мэрии Пензы об организации праздничных цветочных ярмарок на территории областного центра с 5 по 9 марта в настоящее время проходит антикоррупционную экспертизу.Все точки в случае принятия документа будут работать ежедневно с 9...
Незаметный эффект из бытовой суеты: запахи в холодильнике не редкость, но их причина зачастую кроется в ничтожной детальке, которую мы привыкли игнорировать. Засор дренажного отверстия может превратить обычную влажность в стойкий аромат подвалa...
Холодное и дождливое лето стало настоящим испытанием для садоводов. Флоксы покрывались белым налётом, гортензии — ржавыми пятнами, а петунии гнили прямо на клумбах. Многие садоводы жаловались на утрату целых цветников всего...
«Наблюдались судороги, потеря координации, сильная болевая реакция. После происшествия мы были вынуждены обратиться за ветеринарной помощью», - сообщила пензячка.Она предположила, что в этом месте находятся оголенные провода или другие...
На проблему указала местная жительница. По ее словам, оборудование не работает с осени 2025-го.«Получается, что закупили бэушный аппарат? Куда тогда ушли деньги?» - задала сердобчанка вопрос на странице губернатора в ВК.На ее обращение ответил...
Доброе утро!Сегодня у нас в студии заслуженный артист Пензенской области, ведущий солист «Культурно-досугового объединения Сердобского района», лауреат Всероссийских конкурсов, член российского музыкального Союза и международного Союза музыкальных...
Подзимние посевы — это отличный способ обеспечить ранний урожай, но как же предотвратить их вымерзание? Важно учитывать местный климат и его особенности, чтобы минимизировать риски потери семян. О том, как успешно защитить свои посевы, расскажем в...
Данный факт нам подтвердили в региональной прокуратуре и областном министерстве физической культуры и спорта.В пресс-службе минспорта отметили, что купол рухнул под тяжестью выпавшего снега. В спорткомплексе – надувная крыша, которая не рассчитана...
Утро жителей Пензы началось с катания на льду. Правда не на коньках, и не по своей воле.Всё, что растаяло вчера вечером, сегодня замерзло. И не во всех дворах коммунальщики оперативно на это отреагировали.Эти кадры нам прислали жители Шуиста с...
Инцидент произошел вчера вечером на улице Ломаковой-Холодовой, 17. Часть крыши рухнула на крыльцо.Фото с нами поделился подписчикПодписывайтесь на наш новый канал в MAX Прислать...
С наступлением летнего сезона огородники сталкиваются с распространенными противниками своих трудов — слизнями, колорадскими жуками и тлёй. Эти вредители способны нанести непоправимый урон овощным культурам, быстро размножаясь и разрушая не только...
На огородах всё чаще можно встретить томат "Лила Сари", который привлекает внимание не только своей яркой внешностью, но и великолепным вкусом. Этот индетерминантный сорт производит округлые плоды, окрашенные в тёмно-розовые оттенки с зелёными...
По данным пензенских синоптиков, во вторник будет облачно с прояснениями, пройдет небольшой снег. Температура воздуха составит -6…-11 градусов.Северо-западный ветер будет дуть со скоростью от 8 до 13 метров в секунду.@penzapressПодписывайтесь...
#погода Во вторник ожидается облачная погода без осадков Температура воздуха будет колебаться от -13 ночью до -2 ночью.// Телеканал «Экспресс» | Пенза
Лента новостей
- #погода В среду пензенцам обещают +7 градусов, осадков не прогнозируется Ночью столбик термометра опустится до 0. Подписывайся на Телеканал «Экспресс» в MAX// Телеканал «Экспресс» | Пенза
- Внимание!В Пензенской области введён режим «Беспилотная опасность». Интернет ограничен.// Администрация Пензы
- На территории Пензенской области объявлена беспилотная опасность, – губернатор Мельниченко.// Украина.ру
- Бывший министр образования региона Алексей Фомин стал и. о. директора Пензенского колледжа транспортных технологий. Подписывайтесь на «ПензаИнформ» в МАХ - на случай проблем с Telegram. @penzainform// PenzaInform



































